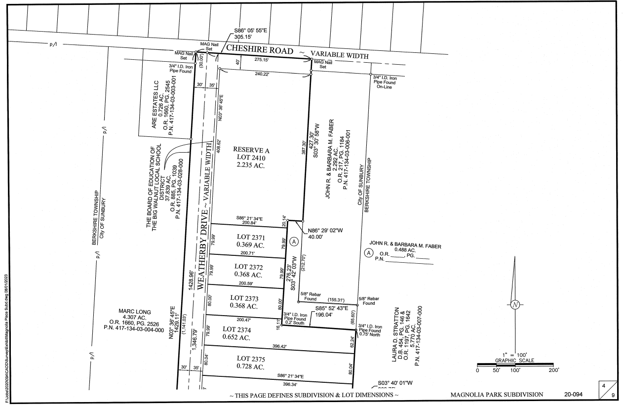
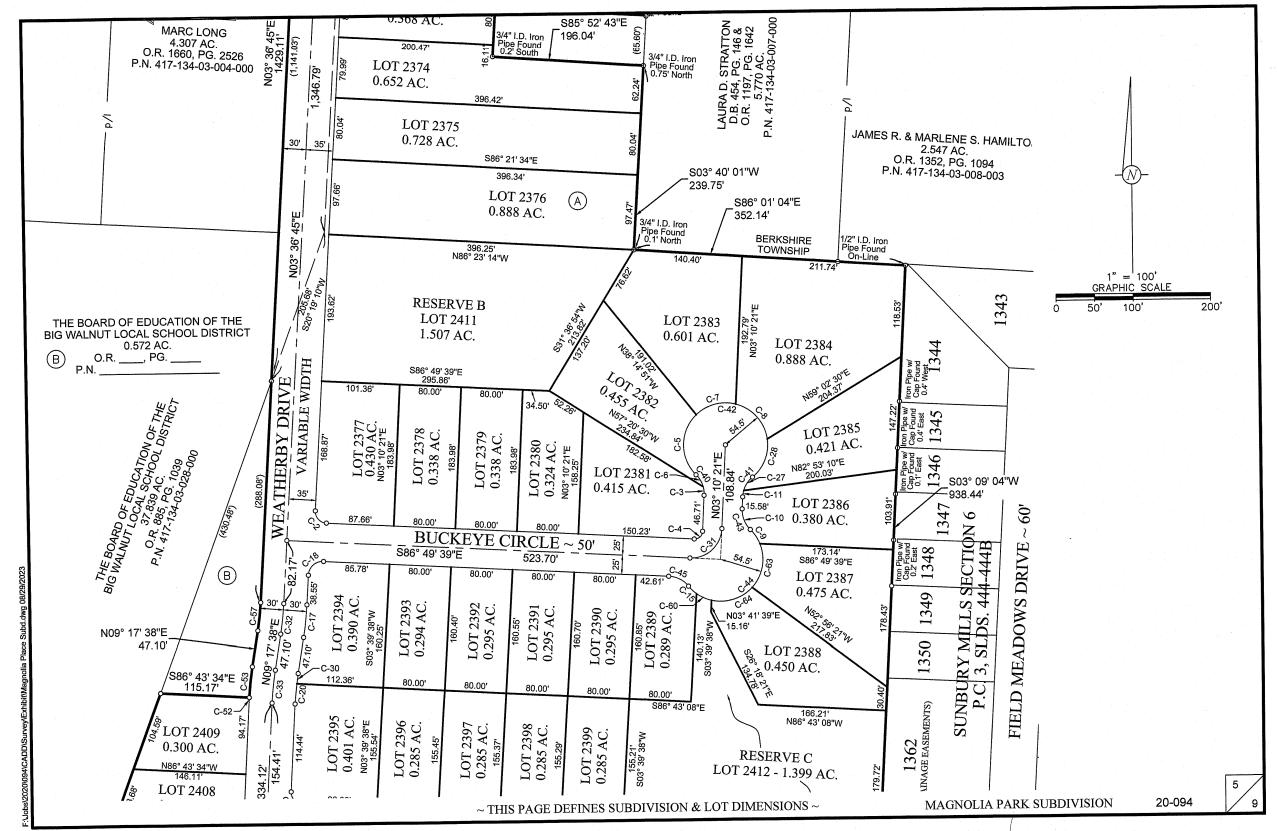
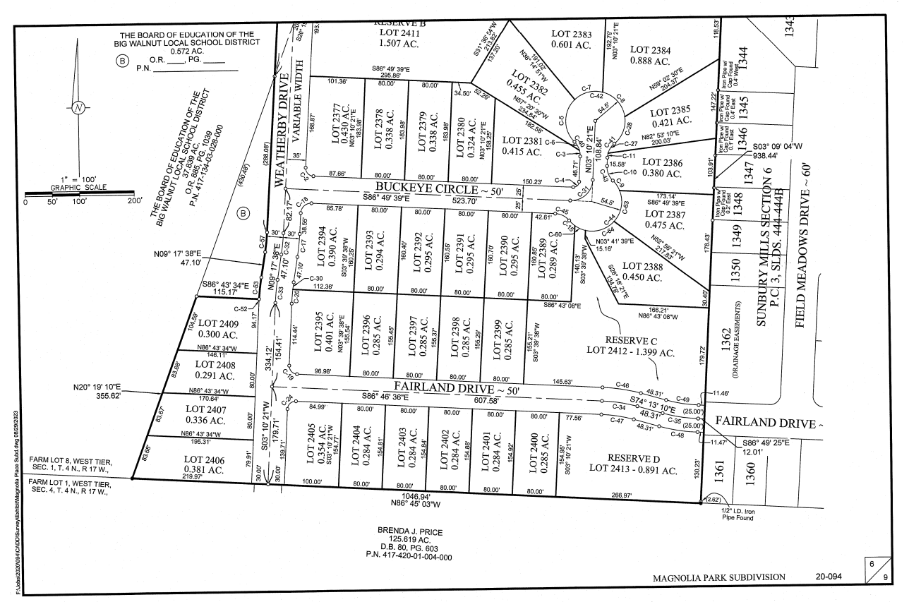
Magnolia Park is a development by Pulte Homes of Ohio. The plan consists of 39 single-family units and +/-25.95 acres of land south of Cheshire Road, directly east of Big Walnut Intermediate School. The subdivision is currently zoned Low Density Residential District (R-2). The development has been approved by Sunbury City Council.
Below there are links to the application and plats for the subdivision.
Application
Recorded Plat
If you have any questions or want additional details, please reach out to the Planning and Zoning Department.


